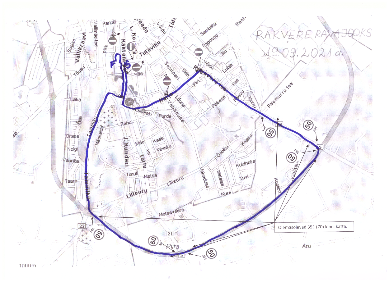
Muudatused liikluskorralduses seoses Rakvere Rahvajooksu toimumisega 19. septembril 2021
Rakvere Rahvajooks toimub 19. septembril 2021 kell 12- 14.30 ning sellega seoses suletakse mootorsõidukite liikluseks
- Kastani puiestee (lõigus Kastani pst ja Spordi tn ristmik kuni Kastani pst ja Vee tn ristmik) kell 11.30- 14.15;
- jooksjate läbijooksu ajaks Kastani puiestee, Vee tänav kuni Karja tänava ristmikuni, Karja tänav kuni Rägavere tee ristmikuni kell 13.00- 13.20